Wohnungen zur Miete
1A-Mieterportal.de
Mieter
Ratgeber
Mietrecht einfach erklärt
Wohnungssuche & Bewerbung
Einzug & Übergabe
Nebenkosten & Energie
Mängel & Konflikte
Auszug & Kaution
Vermieter
Ratgeber
Vermieter-Know-How
Rechte & Pflichten
Nebenkosten & Abrechnung
Mietausfall vermeiden
Wohnungsübergabe
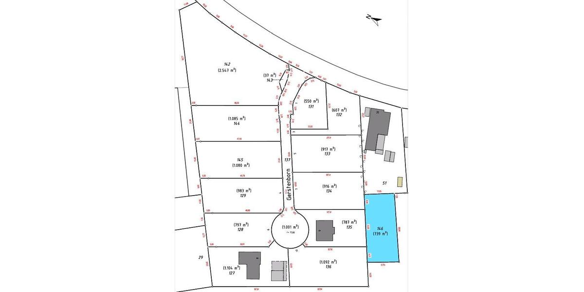
GewerbegrundstückWohnungsbau Mischgebiet in Süderheistedt
Informationen zur Immobilie:
Ort
25779 Hennstedt
Objektart
Gewerbeobjekt
Größe
ca. 4.712,00 m²
70 €
(zzgl. Nebenkosten)
Kaltmiete
Beschreibung:
Mehr zum Angebot GewerbegrundstückWohnungsbau Mischgebiet in Süderheistedt:
Gewerbegrundstück / Mischgebiet in Süderheistedt - teilbar - Wohnungsbau möglich
Zum Verkauf steht ein ca. 4712m² großes Grundstück im Mischgebiet in Süderheistedt.
Das Grundstück ist flexibel teilbar und eignet sich ideal für...
mehr erfahren
Mehr Infos ➜
weitere Gewerbeobjekte
❮
alle Gewerbeobjekte
❯
alle Gewerbeobjekte
weitere Angebote in Hennstedt
Orte im Umkreis
Husum
Heide
Meldorf
Kropp
Fockbek
Tönning
Büsum
Mildstedt
Albersdorf
Wesselburen
Hanerau-Hademarschen
Hemmingstedt
Garding
Nordhastedt
Friedrichstadt
Tellingstedt
Über Uns
Impressum
Datenschutz
Cookies
Copyright © 2000 - 2026 | 1A Infosysteme GmbH | Content by: 1A-Mieterportal.de 31.05.2026