Wohnungen zur Miete
1A-Mieterportal.de
Mieter
Ratgeber
Mietrecht einfach erklärt
Wohnungssuche & Bewerbung
Einzug & Übergabe
Nebenkosten & Energie
Mängel & Konflikte
Auszug & Kaution
Vermieter
Ratgeber
Vermieter-Know-How
Rechte & Pflichten
Nebenkosten & Abrechnung
Mietausfall vermeiden
Wohnungsübergabe
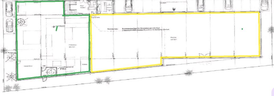
400qm Lager-Produktionshalle mit Kranbahn
Informationen zur Immobilie:
Ort
64560 Riedstadt
Objektart
Gewerbeobjekt
Größe
ca. 6,90 m²
2.800 €
(zzgl. Nebenkosten)
Kaltmiete
Beschreibung:
Mehr zum Angebot 400qm Lager-Produktionshalle mit Kranbahn:
KLEINE HALLE: (grün markiert)
ca. 400 m² (6,90 €/m²)
Ausstattung:
- Absauganlage
- Kranbahn (1t Traglast)
Baujahr 2001 – sehr gepflegter Zustand
Bei den angegebenen Mieten handelt es sich um Nettokaltmieten zzgl. der gesetzlichen Mehrwertsteuer.
Besichtigung nach...
mehr erfahren
Mehr Infos ➜
weitere Gewerbeobjekte
❮
alle Gewerbeobjekte
❯
alle Gewerbeobjekte
weitere Angebote in Riedstadt
Orte im Umkreis
Mainz
Darmstadt
Worms
Rüsselsheim am Main
Dreieich
Bensheim
Hofheim am Taunus
Langen (Hessen)
Neu-Isenburg
Mörfelden-Walldorf
Dietzenbach
Lampertheim
Rödermark
Hattersheim am Main
Griesheim
Heppenheim (Bergstraße)
Über Uns
Impressum
Datenschutz
Cookies
Copyright © 2000 - 2026 | 1A Infosysteme GmbH | Content by: 1A-Mieterportal.de 17.04.2026